kolumber.pl
Podróże
Miejsca
Pomysły
Fotografie
Społeczność
Logowanie
|
Rejestracja
Kolumber
Miejsca
Afryka
Egipt
Sharm El Sheikh
Zdjęcia
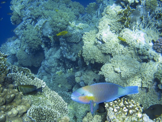
Rafa Koralowa - Sharm El Sheikh
Wykorzystujemy pliki cookie, aby dostosować serwis do Twoich potrzeb. Możesz nie wyrazić zgody przez ustawienia przeglądarki internetowej.
Szczegóły >
zamknij
2
Rafa koralowa - Sharm el Sheikh
Miejsce:
Sharm el Sheikh
,
Egipt
,
Afryka
widzę, że dzisiaj, albo kwiatki, albo rybki :)
kwiatki już wrzucałem - teraz dodam swoje rybki, też z Egiptu - Sharm el Sheik - cyfrowa małpka w obudowie podwodnej - zdjęcia ze snoorkowania przy hotelu
Komentarze
dino
(05.11.2009 1:02)
bullethead parrotfish...scarus sordidus...
smyczek1974
(05.11.2009 6:50)
+1
Pokaźna rafa jak na okolice przy plaży....
dino
Sylwester Zacheja
Punkty:
128715
30
podróży
2040
zdjęć
13702
komentarze
« poprzednie
następne »
Jeśli chcesz wysłać tę stronę, skopiuj ten link: